Ocieplenie klimatu wpływa na redukcję huraganów?

Ale się porobiło...
Gdy alarmiści zajmujący się zmianami klimatycznymi próbują powiązać katastrofalną burzę, która nawiedziła Florydę, z globalnym ociepleniem spowodowanym przez człowieka, geolog i ekspert ds. klimatu Gregory Wrightstone odrzuca takie twierdzenia, mówiąc, że nie są one oparte na faktach.
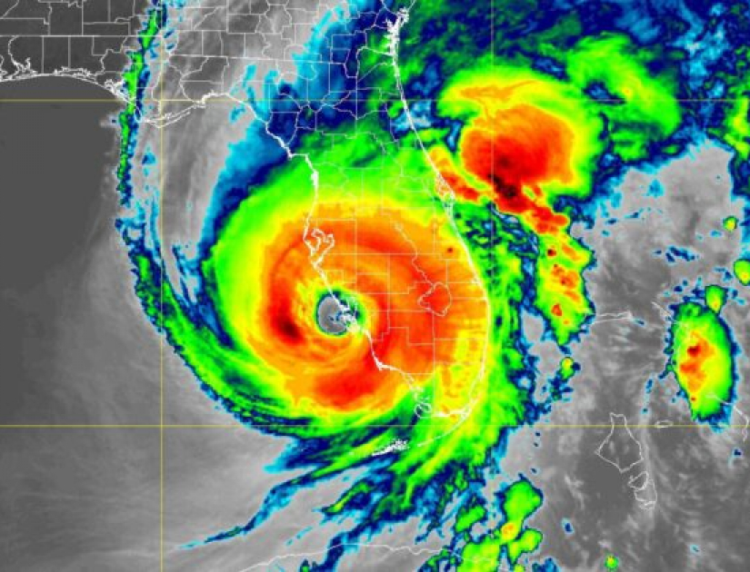
Dyrektor organizacji edukacyjnej CO2 Coalition i recenzent ekspertów dla Międzyrządowego Zespołu ds. Zmian Klimatu (IPCC), Wrightstone powiedział, że jego własna rodzina mieszkająca w Wimauma, mieście 30 km na południe od Tampy, musiała ewakuować się do Gruzji w wyniku huraganu Ian , który wylądował na zachodnim wybrzeżu Florydy jako kategoria 4 i pozostawił ślad zniszczenia.
„Pisałem komentarz – gdy huragan Ian zbierał siły – o tym, jak cichy był ten sezon huraganów, a potem zostałem uderzony przez ten huragan” – powiedział Wrightstone dla NTD News, dodając, że uważa to doświadczenie za „ironiczne”. Biorąc to pod uwagę, zauważył, że dane satelitarne pokazują spadek liczby sztormów atlantyckich w ciągu ostatnich 40 lat.
„Wiemy na pewno, że liczba huraganów nie wzrosła i można zauważyć niewielki spadek” – powiedział Wrightstone w rozmowie z NTD. „I faktycznie, Międzyrządowy Zespół ds. Zmian Klimatu się zgadza. Twierdzą, że nie ma dowodów wskazujących na wzrost huraganów. Nie posuwają się nawet do stwierdzenia, że nastąpił spadek”.
Zgodnie z podsumowaniem ostatniego raportu oceniającego IPCC przez amerykańską Narodową Administrację Oceaniczną i Atmosferyczną (NOAA), nie tylko obserwuje się tendencję spadkową huraganów atlantyckich w erze satelity, ale także, że główne sztormy w USA spadają na ląd lub te należące do kategorii 3 do 5, nie mają znaczącego wzrostu od końca XIX wieku.
Nie ma znaczenia statystycznego
Zapytany, czy istnieją jakiekolwiek dane sugerujące powszechne przekonanie, że cieplejsze oceany powodują silniejsze huragany, Wrightstone odpowiedział, że chociaż ciepło może powodować, że burze stają się nieco silniejsze, rzeczywiste efekty są zbyt małe, aby miały znaczenie statystyczne.
Wrightstone wskazał na pracę Christophera W. Landsea, który kieruje programem analiz i prognoz tropikalnych w National Hurricane Center w Miami. Według Landsea, ocieplenie oceanu o 0,5°C (1°F) prawdopodobnie wzmocniło huragany o około 1 procent, co oznacza, że w przypadku i tak już potężnej burzy, takiej jak huragan Katrina, która zdewastowała Nowy Orlean w 2005 roku, cieplejszy ocean dodałby około 2 mph do 170 mil na godzinę wiatrów Katrina.
„Zmiana 1-2 mil na godzinę w szczytowych wiatrach silnych huraganów z powodu globalnego ocieplenia spowodowanego przez człowieka jest tak niewielka, że nie można jej zmierzyć za pomocą naszych samolotów i technologii satelitarnych dostępnych obecnie, które są dokładne tylko do około 10 mil na godzinę na poważne huragany” – napisał Landsea w 2011 roku.
Wrightstone zgodził się z Landsea. „Nie sądzę, że gdyby huragan Ian wylądował na brzegu, można by odróżnić od 153 do 152 mil na godzinę” – powiedział. „Jest tak mały, że nie można tego nawet zmierzyć”.
Jeśli chodzi o to, co powoduje ocieplenie Ziemi, Wrightstone powiedział, że nie ma wystarczających dowodów, aby udowodnić, że można to całkowicie przypisać działalności człowieka.
„Nie wiemy, jak bardzo jest to spowodowane przez człowieka. Od 1900 roku ociepliliśmy się o mniej niż 1°C. Nie jest to dla mnie zbyt niepokojące. I to jest całe ocieplenie, które widzieliśmy” – powiedział NTD. „Wracając do ostatnich 10 tys. lat, było dziewięć innych trendów ocieplenia podobnych do tych, w których jesteśmy dzisiaj. Pięć z tych dziewięciu miało wyższe tempo ocieplenia niż widzieliśmy w XX wieku”.
„Więc stwierdzenie, że wzrost CO2 napędza to ocieplenie, nie jest poparte danymi” – kontynuował. „Zgadzamy się, że CO2 jest gazem cieplarnianym i ma pewien wpływ na ocieplenie, ale uważamy, że jest on całkowicie przeszacowany przez IPCC i klimatyczny kompleks przemysłowy”.
W piątek huragan Ian uderzył po raz drugi i ostatni w Południowej Karolinie po opuszczeniu Florydy, gdzie zginęło co najmniej 20 osób. Według National Hurricane Center, Ian uderzył w wybrzeże w piątek po południu w pobliżu Georgetown, przy maksymalnym stałym wietrze 85 mil na godzinę.
Bill Pan







Comment (0)